Mājas
Rīki
Kaitēkļu katalogs
Augļu, lapu, stublāja slimība
Ābeļu miltrasa
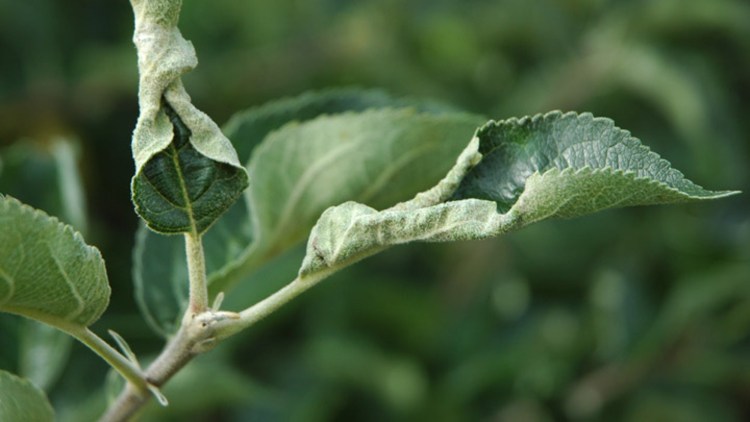
Ābeļu miltrasa
[Podosphaera leucotricha]
west
east
Uz augšu